Tracking Hurricane Melissa: Live Satellite Updates

R.Womenininnovation 122 views
Tracking Hurricane Melissa: Live Satellite Updates

Tracking Hurricane Melissa: Live Satellite Updates

Hey everyone! Are you ready to dive into the latest on Hurricane Melissa? We’re going to explore IIOSCHURRICANESC Melissa tracker , how it works, and how to get the most up-to-date information. Plus, we’ll check out those awesome live satellite views! Let’s get started, shall we?

What is the IIOSCHURRICANESC Melissa Tracker?

So, what exactly is this IIOSCHURRICANESC Melissa tracker everyone’s talking about? Well, it’s your go-to source for everything related to tracking Hurricane Melissa. Think of it as your virtual weather station, providing you with real-time data, forecasts, and crucial information to stay safe and informed. The IIOSCHURRICANESC part probably sounds a bit technical, but it’s essentially the name or identifier used by the specific tracking system or organization providing the data. Melissa is the name given to this particular hurricane, making it easier to find all the information specific to this storm. With the IIOSCHURRICANESC Melissa tracker , you can get the latest updates on the hurricane’s position, movement, wind speeds, and potential impact areas. This is super helpful because it allows you to stay ahead of the game and make informed decisions about your safety and well-being. Think about it: knowing where the hurricane is headed, how strong it is, and what areas are at risk can help you prepare your home, family, and loved ones. It’s like having a personal meteorologist at your fingertips, keeping you in the loop and helping you stay safe. The tracker uses a combination of satellite data, ground observations, and sophisticated computer models to provide accurate and reliable information. It’s like a complex puzzle where all the pieces fit together to give you the clearest picture possible of the hurricane’s behavior and trajectory. This allows you to see the big picture and understand how the hurricane might affect different regions. The information provided by the tracker is usually displayed in an easy-to-understand format. Maps, graphs, and charts are common, making it simple to visualize the storm’s progress. This way, you don’t need to be a weather expert to understand the essentials. The goal is to provide you with the necessary information to stay prepared and make smart choices. The IIOSCHURRICANESC Melissa tracker is an essential tool for anyone living in or near the potential path of Hurricane Melissa, providing peace of mind and the power of knowledge. It is continuously updated, so you can always access the most current information. So, whether you’re a seasoned hurricane veteran or just learning the ropes, the tracker is an invaluable resource. Make sure to check it regularly, especially during hurricane season, to stay informed and safe. Keep in mind that weather patterns can change quickly, so having access to this up-to-date information is super important. Make it a habit to check the IIOSCHURRICANESC Melissa tracker often and be sure to follow the recommendations of local authorities.

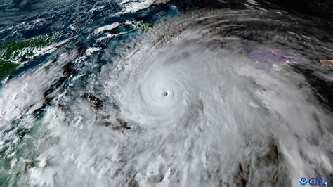
How Does the Live Satellite Tracking Work?

Alright, let’s talk about the cool stuff: live satellite tracking! It’s one of the most exciting aspects of following a hurricane like Melissa. So, how does it all work? Well, it all starts with satellites orbiting the Earth. These satellites are equipped with advanced sensors that can “see” the hurricane from space. These sensors are incredibly sensitive and can detect things like cloud formations, wind speeds, and even the temperature of the ocean’s surface. Think of them as giant eyes in the sky, constantly watching and gathering data. These satellites send this data back to Earth, where meteorologists and scientists analyze it. They use sophisticated computer models and algorithms to interpret the data and create detailed visualizations of the hurricane. That’s how we get those amazing images and maps you see on the IIOSCHURRICANESC Melissa tracker . The images you see are often composites, meaning they combine data from multiple sources to create a complete picture. They’ll often show you the hurricane’s eye, the spiral bands of clouds, and even the surrounding weather patterns. It’s like having a bird’s-eye view of the entire storm! Live satellite tracking also provides real-time updates. The data is constantly being updated, allowing you to see the hurricane’s progress in almost real-time. This is super important because it helps meteorologists track the hurricane’s movement, predict its future path, and issue timely warnings to affected areas. The information gathered by the satellites isn’t just about the current conditions. It is also used to create forecasts. By analyzing the data, meteorologists can predict where the hurricane is headed, how strong it will be, and what areas are likely to be impacted. This forecasting is essential for enabling people to make informed decisions and take the necessary precautions. The IIOSCHURRICANESC Melissa tracker integrates the satellite data with other information, such as weather models and ground-based observations, to create a comprehensive picture of the hurricane. This integrated approach allows for a more accurate and detailed analysis of the storm. The satellite data is also used to monitor changes in the hurricane. For instance, by observing the cloud patterns and wind speeds, meteorologists can determine if the hurricane is intensifying, weakening, or changing direction. This real-time monitoring is critical for providing up-to-date and accurate information to the public. The amazing thing about this technology is that it’s always evolving. As technology advances, the satellites and sensors get more sophisticated. This results in more accurate and detailed data, making it easier to track and understand hurricanes like Melissa. The satellite tracking also helps scientists understand the underlying factors driving hurricanes, such as ocean temperatures and atmospheric conditions. It’s not just about tracking the storm; it’s about learning more about the processes that create and sustain them. You can get an immediate sense of the hurricane’s size, intensity, and location through live satellite tracking. It offers an incredible perspective and helps you get a real-time understanding of what’s happening in the sky. This technology offers an unparalleled level of detail and is a cornerstone of hurricane tracking. So, next time you see those stunning satellite images of Hurricane Melissa, remember all the incredible technology behind them!

Finding Reliable Sources for Hurricane Melissa Updates

Okay, now that you know about the IIOSCHURRICANESC Melissa tracker and how it works, how do you find reliable sources for updates? You want to make sure you’re getting accurate and trustworthy information, right? Well, let’s look at some of the best places to go for updates on Hurricane Melissa.

First up, official government websites are your best friends. Agencies like the National Hurricane Center (NHC) are the go-to source for hurricane information in the United States. Their website offers detailed forecasts, maps, and advisories, all straight from the experts. You can trust that the information is accurate and up-to-date because it’s coming from a reliable source. Then there are meteorology websites and news outlets that provide comprehensive coverage. Reputable news organizations like CNN, BBC, and The Weather Channel have dedicated teams of meteorologists and reporters who closely follow hurricanes. They offer live updates, analysis, and breaking news as the storm develops. They usually use the data from the NHC and other official sources, so you get reliable information with the added benefit of expert analysis. Don’t forget about social media, either. Yes, you read that right! While you always need to be careful about the information you find on social media, official government agencies and trusted news sources will often post updates on their social media accounts. You can follow them to get quick alerts and share information with others. Just make sure you’re following verified accounts, so you know the information is coming from a reliable source. Now, let’s talk about some specific platforms you can use. The IIOSCHURRICANESC Melissa tracker , of course! Look for the official website, usually with a .gov or .org domain, and you can get all the data directly. It is important to know the platform’s official name, so that there is no confusion on where the information came from. Also, make sure that the website has up-to-date information. If you’re looking for more general information, the national weather services often provide detailed forecasts. They usually have a website or app that provides local and regional weather information, including hurricane updates. You can also turn to local news outlets. If Hurricane Melissa is expected to affect your area, your local news channels and radio stations will provide updates tailored to your community. They often have the most up-to-the-minute information about local evacuations, shelters, and other important details. Remember to be cautious when getting information from different sources. Social media and unofficial websites can spread rumors and misinformation, so it is important to always verify information with a trusted source. You can always cross-reference information from multiple sources to make sure it’s accurate. To stay safe and informed, follow trusted sources, be wary of misinformation, and keep an eye on official announcements.

Using the Tracker: Tips and Tricks for Staying Safe

Alright, let’s get down to the nitty-gritty: how to use the IIOSCHURRICANESC Melissa tracker effectively and, most importantly, how to stay safe. First things first, familiarize yourself with the tracker. Spend some time getting to know the interface. Understand what the different maps, charts, and data points mean. Knowing your way around the tracker will help you quickly understand the information you need during a hurricane. Make sure to regularly check the tracker for updates. Hurricane Melissa is constantly changing, so it’s essential to stay informed about its current location, intensity, and predicted path. Make it a habit to check the tracker at least once or twice a day, especially when a hurricane is in the area. Pay close attention to the forecast cone. The forecast cone shows the potential path of the hurricane over the next few days. It’s not a guarantee of where the storm will go, but it gives you a good idea of which areas are most at risk. Pay attention to the cone, and make sure to stay informed of any changes to the forecast. Check the wind speed and intensity data, so you understand the potential strength of Hurricane Melissa. Wind speeds determine how much damage the storm could inflict. Understanding the intensity of the hurricane will help you take the necessary precautions. Also, pay attention to any potential risks. Hurricanes can bring about more than just wind. They can also bring heavy rain, flooding, and storm surges. Make sure to monitor the tracker for any warnings related to these risks. The IIOSCHURRICANESC Melissa tracker will usually provide information about the potential for these hazards. Prepare a hurricane safety kit. Have essential supplies ready, such as water, non-perishable food, flashlights, batteries, a first-aid kit, and any necessary medications. Have a plan for evacuation if necessary. Make sure you know where to go and how to get there. Coordinate with family and friends and know your evacuation route. Follow the instructions of local authorities. They will provide information and guidance on evacuations, shelters, and other safety measures. Always heed their advice. Be aware of the risks of flooding and storm surge. Hurricanes can cause dangerous storm surges and flooding. Check the tracker for any warnings and be prepared to evacuate if necessary. Stay connected during and after the storm. Keep your phone charged and make sure you have a way to receive emergency alerts. Also, keep your family and friends informed about your location and safety. By following these tips and tricks, you can use the IIOSCHURRICANESC Melissa tracker as a powerful tool to stay safe and informed during Hurricane Melissa. Make sure you are prepared and ready to act when necessary. Remember, your safety is the most important thing!

Conclusion: Staying Informed with the IIOSCHURRICANESC Tracker

Alright, guys, we’ve covered a lot today about the IIOSCHURRICANESC Melissa tracker , from what it is to how it works, and how to stay safe. Just to recap, this tracker gives you real-time access to the most recent information about Hurricane Melissa. The live satellite views give you an amazing view of the storm, which helps meteorologists and you, to predict its path. So, why does all of this matter? It’s all about staying informed and being prepared. Being able to track a hurricane live gives you the power to make smart decisions and take the necessary steps to protect yourself and your loved ones. The most important thing is to use the IIOSCHURRICANESC Melissa tracker responsibly and in combination with other reliable sources of information. Always keep an eye on those government websites, follow the advice of local authorities, and be ready to adapt to changing conditions. Hurricane Melissa can be a serious threat. So make sure you stay calm, stay informed, and stay safe! Keep checking the tracker for the most up-to-date information, and don’t hesitate to reach out to your local authorities if you have any questions or concerns. Stay safe out there, and remember that being prepared is half the battle. Thanks for tuning in, and stay safe during hurricane season!