Track Hurricane Helene: Live Radar & IOS Tracker Info

R.Womenininnovation 143 views
Track Hurricane Helene: Live Radar & IOS Tracker Info

Track Hurricane Helene: Live Radar & iOS Tracker Info

Hey everyone, let’s talk about Hurricane Helene ! As you all know, staying informed during hurricane season is super important. That’s why I’m breaking down everything you need to know about tracking Hurricane Helene, including live radar updates and the best iOS hurricane trackers out there. It’s crucial to have reliable information at your fingertips, so you can stay safe and make informed decisions. We’ll dive into the specifics of Helene, explore how to use live radar to monitor its progress, and highlight the must-have iOS apps for staying ahead of the storm. Let’s get started, shall we?

Understanding Hurricane Helene

First things first, let’s get a grip on what Hurricane Helene actually is . Knowing the basics helps you understand the risks and prepare accordingly. Basically, a hurricane is a massive, swirling storm that forms over warm ocean waters. They’re powered by the heat and moisture from the ocean, which is why they tend to lose steam when they hit land. Hurricanes are categorized based on their wind speeds, using the Saffir-Simpson Hurricane Wind Scale. This scale ranges from Category 1 (the weakest) to Category 5 (the strongest). These categories give you a heads-up about the potential damage, from minor flooding to catastrophic destruction. Remember, guys, a hurricane’s path is never a straight line. They can shift, intensify, or even weaken unexpectedly. That’s why keeping a close eye on the forecasts and updates is critical. Also, always pay attention to any warnings or alerts issued by your local authorities. They’re the experts, and they’ll guide you on what to do.

Hurricane Formation and Intensity

Hurricanes start as tropical disturbances, often developing from thunderstorms over warm ocean waters. As these disturbances gather strength and organization, they can evolve into tropical depressions, tropical storms, and eventually, hurricanes. The intensity of a hurricane depends on several factors, including the sea surface temperature, the amount of moisture in the atmosphere, and the presence of any upper-level winds that might disrupt the storm’s structure. Warm ocean waters provide the fuel for a hurricane, meaning the warmer the water, the more energy the storm can absorb and the more powerful it can become. Strong winds aloft can sometimes rip a hurricane apart, while a stable atmosphere might allow the storm to strengthen. Because of all these variables, predicting a hurricane’s intensity and path is a complex process that meteorologists continually refine. They use advanced computer models, satellite imagery, and data from weather stations to make the most accurate forecasts possible. So, when you’re looking at those forecast maps, remember that they represent the best understanding, but things can change!

Potential Impacts of Hurricane Helene

So, what can Hurricane Helene actually do? The impacts of a hurricane like Helene can be widespread and devastating. First off, there’s the wind. Hurricane-force winds can topple trees, destroy buildings, and cause widespread power outages. Then comes the rain. Hurricanes can dump torrential amounts of rain, leading to flooding, which can inundate homes, businesses, and infrastructure. Storm surge, which is the abnormal rise of water generated by a storm, is often the deadliest hazard. This surge can flood coastal areas with devastating force. Finally, there’s the threat of tornadoes, which can spin off from a hurricane and cause additional localized damage. Understanding these potential impacts is essential for effective preparedness. This means having a plan in place, knowing your evacuation routes, securing your property, and stocking up on emergency supplies, such as food, water, and first-aid kits. Remember, staying informed and being proactive can make a big difference in keeping you and your loved ones safe during a hurricane.

Leveraging Live Radar for Real-Time Tracking

Alright, let’s talk about how to actually track Hurricane Helene in real time. Live radar is your best friend here. It provides a real-time view of the storm’s location, intensity, and movement. This data is super valuable, and it’s something you should be checking regularly during a hurricane’s approach. You can find live radar data from various sources, including the National Weather Service (NWS) and weather apps. The NWS website provides a wealth of information, including interactive radar maps, storm tracks, and forecasts. The great thing is that they often update them frequently, sometimes even every few minutes, to give you the freshest data. Weather apps often integrate radar data into their interface, making it easy to see the storm’s position and intensity with a quick glance. Many apps let you customize your view, such as zooming in on your area and setting up alerts. This level of customization can be a lifesaver.

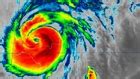
Decoding Radar Imagery

Now, how do you actually read the radar data? Radar images use color to represent the intensity of precipitation. Typically, green and yellow represent light rain, orange and red indicate heavier rain, and purple can show extreme precipitation, which might be associated with hail or intense thunderstorms. The shape and movement of the colors can help you visualize the storm’s structure and track its path. For example, if you see a large, circular area of red, it might indicate the location of the hurricane’s eye or the most intense part of the storm. Tracking the movement of the colors can also help you predict where the storm is headed and when it might impact your area. It’s also important to pay attention to the radar’s range. Some radar maps will show a broad view of the storm, while others will zoom in on a specific location. Using both types of views gives you a comprehensive picture. Combining radar data with forecast information can help you get a really good sense of the storm’s potential impacts on your area. Combining the present with predicted future possibilities means you can plan ahead with much more confidence!

Utilizing Radar Data for Informed Decision-Making

Knowing how to interpret the radar data is one thing; using it to make informed decisions is another. Radar data is a crucial tool for staying safe during a hurricane. Use it to monitor the storm’s location and movement and to assess potential risks to your area. If the radar shows that the storm is approaching your area, you should take steps to prepare. This could mean securing your property, gathering emergency supplies, or evacuating if local authorities advise it. Radar data can also help you track the storm’s intensity and see if it’s weakening or strengthening. This is vital information that can help you adjust your plans. For instance, if the radar shows that the storm is weakening, you might decide to delay your evacuation. If the storm is intensifying, you should be prepared for more severe impacts. Also, keep in mind that radar data is most accurate when combined with other sources of information, such as weather forecasts, storm warnings, and local news updates. The more data you have, the better equipped you’ll be to make safe choices. Radar is your friend, but it’s not the only piece of the puzzle. Always follow the advice of local officials, because they will have the most up-to-date and specific guidance for your area.

Top iOS Hurricane Trackers

So, what are the best iOS apps for tracking Hurricane Helene ? There are tons of options, but some stand out for their features and reliability. These apps give you real-time information, radar data, and important alerts, right on your phone. They’re designed to help you stay ahead of the storm and make informed decisions about your safety. I’ve found a few that are really useful. Let’s dig into a few of the must-have apps.

Best iOS Apps for Hurricane Tracking

1. Hurricane Tracker: This app is designed with a focus on ease of use and comprehensive data. It usually offers interactive maps, radar overlays, and detailed information about the storm’s location, wind speed, and potential impacts. The layout is usually clean and easy to read, with updates delivered at regular intervals to keep you informed. A key feature is the push notifications for alerts and warnings, ensuring you never miss important information about the storm’s path or intensity. It is a solid choice because it delivers the essential information you need in a clear and accessible format.

2. MyRadar Weather Radar: This app is a favorite, not just for hurricane tracking, but for all kinds of weather info. MyRadar provides real-time radar data, which is incredibly useful for monitoring the storm’s movement and intensity. You can usually zoom in and out and customize the view. You can also view future radar and weather forecasts. The app provides a range of features, from detailed weather maps to severe weather alerts. Its radar data is very accurate and frequently updated, which makes it ideal for tracking hurricanes. The app is generally easy to use, so even those who aren’t weather experts can easily track the storm and understand the forecast.

3. The Weather Channel: The Weather Channel app is a well-known name in weather information, and for good reason. It provides a wealth of information, including live radar, storm tracking maps, and detailed forecasts. The app usually offers a clean and intuitive interface, making it easy to access the information you need. In addition to weather information, the app also often has local news updates and alerts, which is great for staying informed about any other local events happening. The Weather Channel app is a reliable and comprehensive resource for tracking hurricanes and staying informed during severe weather.

Key Features to Look For in an iOS Hurricane Tracker

When choosing an iOS hurricane tracker, a few key features will help you stay informed and prepared. First, real-time radar data is critical. You need to see the storm’s location, intensity, and movement as it happens. Also, push notifications and alerts are absolutely essential, since they will keep you updated on any severe weather warnings and changes in the storm’s track or intensity. Look for apps that provide detailed storm tracking maps, which show the storm’s path, wind speeds, and potential impacts. These maps will help you assess the risks and prepare accordingly. Forecasts are equally important. You need to know what the weather will look like in the days and hours ahead. Apps that provide detailed weather forecasts for your area will help you make informed decisions. Also, look for apps that offer customization options, so you can set up alerts, save your favorite locations, and tailor the app to your specific needs. Finally, make sure the app is reliable. Check the app store reviews and ratings to ensure that the app is accurate and reliable. You need an app that you can trust to provide the information you need to stay safe during a hurricane.

Preparing for Hurricane Helene: Essential Tips

Okay, so you’ve got your app, you know the basics of Hurricane Helene , and you’re tracking the storm. Now, let’s talk about preparing. Preparation is key, guys. Preparing now can make a huge difference in your safety and your peace of mind. Let’s make sure you’re ready!

Pre-Storm Preparations

Before the storm hits, you should take several steps to get ready. First and foremost, create a family emergency plan. This plan should include your evacuation routes, meeting places, and emergency contacts. Make sure everyone in your family knows the plan. Next, gather your emergency supplies. This should include food, water, first-aid supplies, medications, flashlights, batteries, and a weather radio. You should have enough supplies to last for at least three days. Secure your home. Trim any trees and shrubs around your house, and clear your gutters of any debris. Bring in any outdoor furniture, trash cans, and other items that could become projectiles in the wind. Also, if you live in an area prone to flooding, elevate any valuable items or move them to a higher level of your home. If you’re advised to evacuate, do so promptly. Follow the instructions of local authorities and leave early to avoid traffic and hazardous conditions. Do not wait until the last minute.

During the Storm: Staying Safe

During a hurricane, safety is paramount. The first and most important thing is to stay indoors. Find a safe room, preferably a room without windows, and stay there until the storm has passed. If you’re in an area prone to flooding, move to the highest level of your home. Stay away from windows and doors. The wind can break glass and send debris flying. If the storm surge is present, evacuate to higher ground. Also, be aware of downed power lines. Stay away from them and report them to the authorities. Never drive or walk through floodwaters. The water may be contaminated, and the current can be strong. Stay informed. Listen to your weather radio or local news for updates. Finally, be patient. The storm may last for hours or even days. Stay calm, and keep your family informed.

Post-Storm Actions

After the storm has passed, it’s crucial to assess the damage and take the appropriate actions. Carefully inspect your home for any damage. If you see structural damage, do not enter your home until it is safe to do so. Report any damage to your insurance company. Check for any downed power lines, and report them to the authorities. Be cautious of any debris and hazardous materials. Do not drink tap water until you are told that it is safe to do so. Contact your family and friends to let them know that you are safe. If you have any questions or need assistance, contact your local authorities or emergency services. It’s also important to be aware of any potential scams or price gouging after the storm. Be careful of anyone who tries to take advantage of you. Remember, recovery from a hurricane can take a long time. Be patient, and work with your neighbors and community to rebuild.

Conclusion: Staying Safe During Hurricane Season

Tracking Hurricane Helene and staying safe during hurricane season requires a combination of preparation, awareness, and the right tools. From understanding the basics of hurricanes to utilizing live radar and must-have iOS apps, being informed is your best defense. Remember, knowing how to interpret radar data, preparing your home, and following the advice of local authorities are all critical steps. So, stay informed, stay prepared, and stay safe. We’re all in this together, and by working together, we can weather any storm. Stay safe out there, guys!