NOAA Weather Map: Live Satellite Updates & Forecasts

R.Womenininnovation 139 views
NOAA Weather Map: Live Satellite Updates & Forecasts

NOAA Weather Map: Live Satellite Updates & Forecasts

Hey guys! Ever wondered how meteorologists predict the weather with such accuracy? A big part of it comes down to using tools like the NOAA weather map and live satellite imagery. These resources provide a real-time look at what’s happening in our atmosphere, helping us stay informed and prepared. In this article, we’re diving deep into the world of NOAA weather maps and live satellite technology, so you can understand how it all works and make the most of these amazing tools. Let’s get started!

Understanding NOAA Weather Maps

Okay, so what exactly is a NOAA weather map? NOAA , which stands for the National Oceanic and Atmospheric Administration , is a scientific agency focused on monitoring and predicting changes in the Earth’s environment. Their weather maps are visual representations of current weather conditions and forecasts, compiled from a variety of data sources. These maps use colors, symbols, and lines to show things like temperature, precipitation, wind speed and direction, and atmospheric pressure. You can find different types of NOAA weather maps, each focusing on specific aspects of the weather. For example, there are surface analysis maps showing current conditions at ground level, upper-air maps displaying conditions higher in the atmosphere, and forecast maps predicting future weather patterns. To really understand these maps, you need to know what the different symbols and colors mean. For instance, isobars (lines connecting points of equal pressure) indicate pressure gradients, which are related to wind speed. Areas of low pressure are often associated with stormy weather, while high-pressure areas usually bring clear skies. Color-coding is used to represent temperature ranges, precipitation intensity, and other variables. Learning to interpret these visual cues will allow you to quickly assess the weather situation in your area or anywhere else in the world. NOAA gathers data from various sources to create these maps. Surface observations come from weather stations, ships, and buoys, providing on-the-ground measurements of temperature, wind, and precipitation. Upper-air data is collected by weather balloons, which carry instruments called radiosondes that measure temperature, humidity, and wind speed as they ascend through the atmosphere. Satellites play a crucial role in providing a comprehensive view of the Earth’s atmosphere, capturing images and data over vast areas. Radar systems detect precipitation, allowing meteorologists to track storms and estimate rainfall amounts. All of this data is fed into computer models, which use complex algorithms to generate weather forecasts. These models are constantly being refined and improved, leading to more accurate predictions. Whether you’re planning a weekend getaway or just want to know if you need an umbrella, NOAA weather maps are a valuable tool for staying informed and prepared.

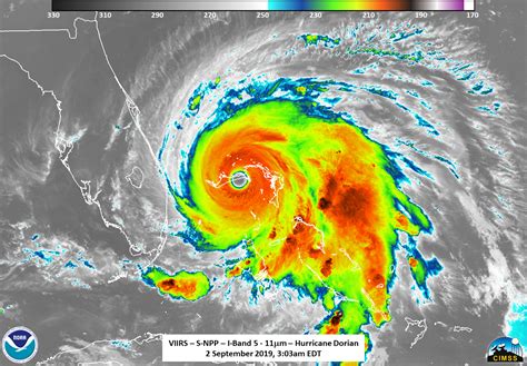
Exploring Live Satellite Weather

Alright, let’s talk about live satellite weather – it’s like having a weather eye in the sky! Live satellite images give us a real-time view of cloud cover, storm systems, and other weather phenomena happening across the globe. Unlike static maps, these images are constantly updated, showing the dynamic nature of our atmosphere. So, how does this satellite wizardry work? Weather satellites orbit the Earth, equipped with sophisticated sensors that capture images in different wavelengths of light. Visible light images show what the Earth looks like during the day, revealing clouds, land features, and bodies of water. Infrared images, on the other hand, detect heat radiation, allowing us to see clouds and temperature patterns even at night. Water vapor images track the amount of moisture in the atmosphere, which is crucial for predicting storm development. By combining these different types of images, meteorologists can get a complete picture of what’s going on. Satellites come in two main types: geostationary and polar-orbiting. Geostationary satellites orbit above the equator, remaining in a fixed position relative to the Earth. This allows them to continuously monitor the same area, providing real-time updates on weather conditions. Polar-orbiting satellites, on the other hand, orbit from pole to pole, passing over different parts of the Earth with each revolution. They provide more detailed images but don’t offer the same continuous coverage as geostationary satellites. Accessing live satellite weather is easier than ever. There are tons of websites and apps that provide real-time satellite images, often with interactive features that let you zoom in on specific areas. Some popular sources include the NOAA website, as well as various weather apps and websites. When looking at satellite images, pay attention to cloud patterns. Swirling clouds often indicate storm systems, while long, thin lines of clouds can be associated with fronts. By tracking the movement of these features, you can get a sense of how the weather is changing and what to expect in the coming hours. Live satellite weather is an invaluable tool for anyone who wants to stay informed about current weather conditions and potential hazards. Whether you’re a weather enthusiast, a pilot, or just someone who wants to know if it’s going to rain, these images can help you make informed decisions and stay safe.

How to Use NOAA and Satellite Data for Weather Prediction

Okay, now that we’ve covered the basics, let’s get into how you can actually use NOAA and satellite data to make your own weather predictions! While meteorologists have years of training and access to sophisticated models, you can still get a pretty good sense of what’s coming by learning to interpret the data yourself. Start by checking out the surface analysis map on the NOAA website. This map shows the current weather conditions at ground level, including temperature, wind, pressure, and precipitation. Look for areas of low pressure, which are often associated with stormy weather. Also, pay attention to fronts, which are boundaries between air masses of different temperatures and humidity. Cold fronts usually bring cooler temperatures and sometimes showers or thunderstorms, while warm fronts can bring warmer temperatures and steady rain. Next, take a look at the live satellite images. Pay attention to cloud patterns and their movement. Are there any swirling clouds that could indicate a developing storm? Are the clouds moving towards your area? By combining the information from the surface analysis map and the satellite images, you can get a good sense of what’s happening in the atmosphere and how it’s likely to change. But don’t stop there! Check out the forecast maps as well. These maps show the predicted weather conditions for the next few days, based on computer models. While these models aren’t always perfect, they can give you a general idea of what to expect. Look for any major weather systems that are predicted to move into your area. Are there any warnings or advisories issued by the National Weather Service? By staying informed and paying attention to the data, you can make your own weather predictions and be prepared for whatever Mother Nature throws your way. Remember, weather forecasting is not an exact science, and things can change quickly. But by using NOAA and satellite data, you can increase your chances of making an accurate prediction and staying safe.

The Benefits of Real-Time Weather Monitoring

So, why is real-time weather monitoring such a big deal? Well, guys , it offers a ton of benefits, from helping us plan our daily activities to protecting lives and property. Imagine trying to plan a picnic without knowing if it’s going to rain. Or trying to navigate a boat through a storm without knowing the wind speed and wave height. Real-time weather monitoring provides the information we need to make informed decisions and avoid potentially dangerous situations. For example, farmers can use real-time weather data to decide when to plant and harvest their crops, maximizing their yields. Construction workers can use it to plan their work schedules, avoiding delays due to rain or high winds. And emergency responders can use it to track severe weather events and coordinate rescue efforts. One of the biggest benefits of real-time weather monitoring is improved safety. By tracking hurricanes, tornadoes, and other severe weather events, meteorologists can issue warnings and advisories that give people time to prepare and evacuate. This can save lives and reduce property damage. Real-time weather data is also essential for aviation and maritime transportation. Pilots and ship captains need accurate weather information to navigate safely and avoid accidents. The ability to monitor weather conditions in real-time has revolutionized the way we live and work. It has made us more resilient to extreme weather events and has helped us make better decisions in all aspects of our lives. As technology continues to advance, we can expect real-time weather monitoring to become even more sophisticated and accurate, providing us with even greater benefits in the years to come. So, next time you check the weather forecast, remember the power of real-time monitoring and the amazing technology that makes it possible.

Staying Safe with Accurate Weather Information

Alright, let’s wrap things up by talking about how to stay safe with accurate weather information . Knowing what’s coming is half the battle when it comes to dealing with severe weather. Whether it’s a hurricane, a tornado, a blizzard, or just a thunderstorm, having accurate and timely information can make all the difference. First and foremost, make sure you have a reliable source of weather information. The NOAA website and the National Weather Service are great places to start. You can also find accurate weather forecasts on reputable weather apps and websites. Be wary of sources that sensationalize the weather or provide inaccurate information. Once you have a reliable source, make it a habit to check the weather forecast regularly, especially if you’re planning outdoor activities or if severe weather is in the forecast. Pay attention to any warnings or advisories issued by the National Weather Service. A watch means that conditions are favorable for severe weather to develop, while a warning means that severe weather is imminent or occurring. If a warning is issued for your area, take immediate action to protect yourself and your family. This might mean seeking shelter in a safe location, such as a basement or a storm cellar. It might also mean evacuating your home if you live in an area that is prone to flooding or other hazards. In addition to staying informed about the weather, it’s also important to have a plan in place for dealing with severe weather. This includes having a supply of food, water, and other essential items on hand, as well as knowing where to go in case of an emergency. Practice your plan with your family so that everyone knows what to do. By staying informed, having a plan, and taking action when necessary, you can protect yourself and your family from the dangers of severe weather. Remember, weather can be unpredictable, but by being prepared, you can increase your chances of staying safe.